SCS
0.0200
Tunisian President Kais Saied has dissolved a major independent judicial watchdog, he said Sunday, accusing it of bias and working for special interests.
Morocco was in shock Sunday after emergency crews found a five-year-old boy dead at the bottom of a well in a tragic end to a painstaking five-day rescue operation that gripped the nation and the world.
The unfinished "Golden Dream" rests quietly in a dock as the Covid-19 pandemic has turned the cruise ship into a nightmare for the shipyard in Wismar along Germany's windswept Baltic coast.
Australia's foreign minister called Sunday for the "immediate release" of economist Sean Turnell, who has been detained by Myanmar's military junta for the past year.
Honduras' new president, leftist Xiomara Castro, who came to power promising to fight corruption, granted amnesty Saturday to many officials who served in her husband's government more than a decade ago.
UN Secretary-General Antonio Guterres told leaders in Beijing he expects them to allow UN human rights chief Michelle Bachelet to make a "credible" visit to China including a stop in the troubled Xinjiang region, his spokesman said Saturday.
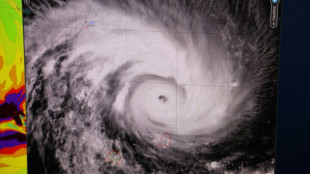
As powerful Cyclone Batsirai closed in on eastern Madagascar on Saturday people sought shelter in more secure concrete buildings while others reinforced their roofs with large sandbags.
Morocco held its breath as rescue workers on Saturday entered a tunnel leading to a pocket where a five-year-old boy has been trapped for days after falling into a well, AFP correspondents said.
It's official: Austrians over the age of 18 must be vaccinated against Covid-19 from Saturday or face the possibility of a heavy fine, an unprecedented measure in the European Union.
Moroccan rescuers worked through the night into Saturday, the fifth day of an increasingly urgent and nerve-wracking effort to rescue Rayan, a five-year-old boy trapped underground in a well.
American authorities have recommended releasing a mentally ill inmate from Guantanamo Bay and repatriating him to Saudi Arabia, according to a government document published Friday.
Cyclone Batsirai was expected to reach eastern Madagascar on Saturday, posing a "very serious threat" to millions with powerful winds and torrential rains set to batter the large Indian Ocean island.
The death toll among dozens of people who consumed cocaine likely laced with opioids in Buenos Aires rose to 24 on Friday, with 23 still in hospital, health officials said.
It's official: From Saturday, Austrians over the age of 18 must be vaccinated against Covid-19 or face the possibility of a heavy fine, an unprecedented measure in the European Union.
Peruvian President Pedro Castillo dumped his prime minister Friday just three days after appointing him, amid outrage over revelations he was accused of domestic violence in 2016.
A former Colombian soldier charged in the United States with participating in the assassination of Haitian President Jovenel Moise pleaded not guilty Friday, his lawyer in Miami said.
The heaviest flooding to hit Ecuador in two decades claimed 27 lives this week and left 53 people injured, municipal officials said Friday.
Ottawa's police chief vowed Friday to crack down on an "unlawful" occupation of the Canadian capital by protesters opposed to vaccine mandates, as the trucker convoy's clogging of the city enters a second week.
Iceland, one of the only countries that still hunts whales commercially, said Friday it plans to end the practice from 2024 as demand for whale meat dwindles.
Media giant News Corp said Friday it was hit by hackers who stole company data in an attack that the firm's cybersecurity consultant said could likely be traced back to China.
The death toll among dozens of people who consumed cocaine likely laced with opioids in Buenos Aires rose to 23 on Friday, with 37 still in hospital, health officials said.
More than eight months after the Nyiragongo volcano erupted in the eastern Democratic Republic of Congo, toxic ash has started falling on nearby Goma, the city's Volcano Observatory said on Friday.
France prop Mohamed Haouas was convicted on Friday for his role in burglaries worth tens of thousands of euros at tobacco vendors in France in 2014.
The crew of an oil tanker stranded near the coast of the Indian Ocean island of La Reunion after Cyclone Batsirai swept the region were rescued and brought ashore Friday, officials said.
The United Nations has demanded the Taliban provide information on two more women activists allegedly detained by the group this week -- bringing to four the number missing this year.
Activision Blizzard on Thursday said it will beef-up its "Call of Duty" video game franchise after sagging interest by players led to a sales decline in the recently ended quarter.
Argentine police on Thursday seized vast quantities of cocaine likely laced with opioids and made several arrests after 22 people died and dozens ended up in hospital poisoned in Buenos Aires.
British Prime Minister Boris Johnson suffered four staff defections on Thursday as pressure intensified on the embattled leader over lockdown parties and his loose-lipped style of politics.
The head of Islamic State group, whom the US declared dead in a special-forces raid Thursday, was nicknamed the "Destroyer" and presided over massacres of Yazidis before assuming the leadership.
Investigators in Argentina raced Thursday to track down laced cocaine and remove it from circulation after 20 people died and dozens were sent to hospital poisoned.
Major oil terminals in some of Western Europe's biggest ports have fallen victim to a cyberattack at a time when energy prices are already soaring, sources confirmed on Thursday.
Human Rights Watch accused Lebanon on Thursday of "flawed" assassination probes and urged donors to review millions of dollars in aid to security forces in a country where crimes often go unpunished.