The Japan Times - La isla estadounidense de Guam se prepara para el impacto del supertifón Mawar

EUR -
AED 4.250678
AFN 72.918041
ALL 96.067465
AMD 436.932685
ANG 2.071904
AOA 1061.367148
ARS 1614.573682
AUD 1.634575
AWG 2.086276
AZN 1.972142
BAM 1.972698
BBD 2.332168
BDT 142.080747
BGN 1.978413
BHD 0.436949
BIF 3437.580732
BMD 1.157435
BND 1.485596
BOB 8.001925
BRL 6.042616
BSD 1.157939
BTN 107.880297
BWP 15.801103
BYN 3.580572
BYR 22685.717965
BZD 2.32886
CAD 1.590258
CDF 2633.163673
CHF 0.913169
CLF 0.026762
CLP 1056.726175
CNY 7.98682
CNH 7.967438
COP 4274.220751
CRC 541.77124
CUC 1.157435
CUP 30.672017
CVE 112.32935
CZK 24.46157
DJF 205.69948
DKK 7.470818
DOP 68.086114
DZD 153.068157
EGP 60.468898
ERN 17.361519
ETB 181.942975
FJD 2.556252
FKP 0.868855
GBP 0.862243
GEL 3.142482
GGP 0.868855
GHS 12.612219
GIP 0.868855
GMD 85.650189
GNF 10159.345308
GTQ 8.857761
GYD 242.257739
HKD 9.066706
HNL 30.752706
HRK 7.534086
HTG 151.887632
HUF 390.323942
IDR 19551.674454
ILS 3.619692
IMP 0.868855
INR 107.73737
IQD 1516.239313
IRR 1522171.1655
ISK 143.799756
JEP 0.868855
JMD 181.912765
JOD 0.820653
JPY 182.822601
KES 150.005481
KGS 101.215228
KHR 4641.312752
KMF 495.381662
KPW 1041.677217
KRW 1723.362105
KWD 0.354453
KYD 0.965012
KZT 556.866583
LAK 24855.907577
LBP 103648.268002
LKR 360.942102
LRD 212.274287
LSL 19.479641
LTL 3.417604
LVL 0.70012
LYD 7.384117
MAD 10.832141
MDL 20.292792
MGA 4820.714971
MKD 61.634594
MMK 2430.311069
MNT 4150.377902
MOP 9.342916
MRU 46.424425
MUR 53.832532
MVR 17.88262
MWK 2010.463866
MXN 20.538231
MYR 4.559163
MZN 73.961088
NAD 19.479093
NGN 1570.409946
NIO 42.500812
NOK 10.997709
NPR 172.603009
NZD 1.971059
OMR 0.445035
PAB 1.157979
PEN 3.99836
PGK 4.979257
PHP 69.211938
PKR 323.097975
PLN 4.267571
PYG 7524.225019
QAR 4.218386
RON 5.093054
RSD 117.434432
RUB 99.715141
RWF 1688.697067
SAR 4.345484
SBD 9.315708
SCR 16.728436
SDG 695.617571
SEK 10.760999
SGD 1.479253
SHP 0.868376
SLE 28.53087
SLL 24270.837165
SOS 661.476645
SRD 43.40615
STD 23956.559163
STN 24.884844
SVC 10.132098
SYP 127.929815
SZL 19.479951
THB 37.605283
TJS 11.087547
TMT 4.051021
TND 3.369582
TOP 2.786824
TRY 51.283377
TTD 7.848604
TWD 36.825979
TZS 3006.437007
UAH 50.920909
UGX 4376.679727
USD 1.157435
UYU 46.903191
UZS 14114.91435
VES 526.268876
VND 30428.955372
VUV 138.207434
WST 3.162366
XAF 661.659074
XAG 0.015864
XAU 0.000249
XCD 3.128025
XCG 2.086894
XDR 0.822888
XOF 661.473924
XPF 119.331742
YER 276.106212
ZAR 19.366681
ZMK 10418.297556
ZMW 22.667344
ZWL 372.693466
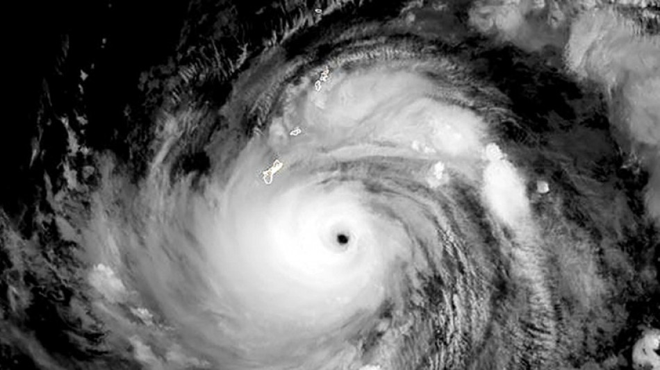
La isla estadounidense de Guam se prepara para el impacto del supertifón Mawar
La isla estadounidense de Guam se prepara para el impacto del supertifón Mawar / Foto: José Romero - Noaa/Rammb/AFP

La isla estadounidense de Guam se prepara para el impacto del supertifón Mawar

El supertifón Mawar, con vientos potencialmente catastróficos, se dirige directamente a la isla de Guam, territorio de Estados Unidos situado en el Pacífico y puesto militar de crucial importancia.

Tamaño del texto:

Según un informe del Servicio Meteorológico Nacional (NWS, por sus siglas en inglés), Mawar se estaba intensificando hasta convertirse en un supertifón de categoría cinco, con vientos máximos sostenidos de 255 kilómetros por hora.

"Estoy preocupado por la seguridad de nuestra gente. Es la primera tormenta de esta magnitud en 20 años", dijo el gobernador Lou Leon Guerrero.

En su trayectoria actual, Mawar pasará directamente sobre la isla de 170.000 habitantes, desatando lluvias torrenciales e inundaciones extremas. "Se prevé que Mawar se intensifique a lo largo de la noche", dijo el NWS.

A las 04H00 locales del miércoles (18H00 GMT del martes), la tormenta estaba 135 kilómetros al sureste de Guam, con vientos máximos sostenidos de 155 km/h, dijo la oficina del NWS en Guam en una advertencia.

"El paso muy cerca o directamente sobre Guam es inminente", dijo el meteorólogo.

"La triple amenaza del supertifón Mawar son las lluvias torrenciales que pueden provocar deslizamientos de tierra e inundaciones repentinas, vientos catastróficos e inundaciones costeras potencialmente letales", dijo.

Los vientos podrían alcanzar ráfagas de hasta 320 km/h, provocando daños importantes en edificios y casas hechos de materiales livianos.

En las costas, los grandes barcos "podrían ser arrancados de las amarras".

Las autoridades ordenaron la evacuación de las zonas costeras bajas, especialmente en las aldeas del sur propensas a inundaciones, y pidieron a todos que "se refugien inmediatamente" ante los vientos destructivos que se esperan para el miércoles por la mañana.

Unos 21.700 militares estadounidenses y sus familias tienen su base en o cerca de varias instalaciones de Guam, que habitualmente alberga submarinos nucleares de ataque, bombarderos de largo alcance y puestos de escucha electrónica.

Las bases estadounidenses también alojan algunas de las instalaciones de almacenamiento de municiones y combustible más importantes de la región del Pacífico.

Según las previsiones, las precipitaciones podrían provocar deslizamientos de tierra en el centro y el sur de la isla, advirtió el servicio meteorológico.

El presidente de Estados Unidos, Joe Biden, declaró el martes el estado de emergencia para Guam, para que se pueda proporcionar ayuda federal a la isla, según un comunicado de la Casa Blanca.

Alrededor de 60 vuelos hacia y desde Guam programados entre el martes y el jueves fueron cancelados, según el Aeropuerto Internacional A.B. Won Pat.

Se prevé que las condiciones mejoren el jueves.

M.Fujitav--JT