Destacados
Últimas noticias
Al menos ocho muertos tras unas "devastadoras" inundaciones en Kentucky
Inundaciones repentinas causadas por lluvias torrenciales han dejado al menos ocho muertos en el este de Kentucky y a algunos residentes atrapados en tejados y árboles, dijo este jueves el gobernador del estado del centro sur de Estados Unidos.
Autoridades chinas instan a millones de habitantes a quedarse en casa por ola de calor
Las autoridades chinas instaron a decenas de millones de habitantes a quedarse en casa el lunes debido a la ola de calor que azota el país, donde varias ciudades están en alerta roja.
Miles de evacuados en EEUU mientras el fuego en California se extiende
Un feroz incendio forestal en California se expandió durante la madrugada del domingo, quemando varios miles de hectáreas y obligando a realizar evacuaciones, mientras millones de estadounidenses padecen un calor abrasador que bate récords y se espera que se intensifique.
El fuego se extiende en California en medio del calor que abrasa a EEUU
Un feroz incendio forestal en California se expandió durante la noche al domingo, quemando varios miles de hectáreas y obligando a realizar evacuaciones, mientras millones de estadounidenses padecen un calor abrasador que bate récords y se espera que se intensifique.
EEUU enfrenta calor extremo y un incendio forestal que crece en California
Una "ola de extremo calor" afecta a decenas de millones de estadounidenses este fin de semana, con temperaturas récord en el centro y noreste y un incendio forestal que se propaga de manera alarmante en California.
EEUU enfrenta calor extremo y un incendio forestal en California
Una "ola de extremo calor" afecta a decenas de millones de estadounidenses este fin de semana, con temperaturas récord en el centro y noreste y un incendio forestal en California.
Bomberos griegos comienzan a controlar un incendio al norte de Atenas
Los bomberos griegos empezaron a controlar este miércoles un incendio forestal que se extendió un día antes a los pies del monte Pentélico, al norte de Atenas, donde cientos de personas se vieron obligadas a evacuar, informaron las autoridades.
El Reino Unido bate su récord de calor y la península ibérica sigue ardiendo
Las altas temperaturas batieron el martes récords históricos en el Reino Unido, que superó por primera vez los 40ºC en el marco de la ola de calor que azota a Europa occidental y provocó incendios forestales que arrasan la península ibérica.
Incendios en España, donde reabre una autopista con Portugal que el fuego cortó
Una importante autopista que comunica Madrid con Lisboa reabrió tras haber permanecido cortada por varias horas este sábado por un incendio en el suroeste de España, país donde se registraron decenas de fuegos, en medio de una ola de calor.
Europa occidental, asfixiada por las altas temperaturas y los incendios
Una parte de Europa Occidental se encontraba sofocada este sábado por una ola de calor que ha causado devastadores incendios y amenaza con provocar temperaturas récord este fin de semana y el inicio de la próxima.
Calor sofocante e incendios atormentan al suroeste de Europa
Miles de bomberos continuaban el viernes su lucha sin cuartel contra las llamas en Francia y la península Ibérica, donde las sofocantes temperaturas no daban tregua, mientras, más al norte, el Reino Unido se preparaba para un fin de semana de calor "extremo".
Ola de calor alcanza su pico en España y los incendios se extienden
La ola de calor que se abate sobre el sudoeste de Europa desde hace varios días alcanzará este jueves su pico en España, donde las temperaturas superaron ya los 45ºC en la víspera, a la vez que se multiplican los incendios forestales.
España, en alerta por temperaturas por encima de los 45 ºC
La casi totalidad de España seguía bajo alerta por una ola de calor, que este miércoles empujó los termómetros a temperaturas por encima de 45 ºC, según la Agencia Estatal de Meteorología (Aemet).
Shanghái sufre temperaturas récord en medio de ola de calor en China
Shanghái aguanta este miércoles algunas de las temperaturas más altas jamás registradas en medio de una ola de calor que agobia a China y que activó una serie de alertas y que amenaza la agricultura y el sector energético.
Después de España y Portugal, la ola de calor se abate sobre Francia
Después de España y Portugal, una ola de calor extremo se abatía este miércoles en Francia, la segunda en apenas un mes, con temperaturas superiores a los 30ºC en gran parte del país e incendios forestales.
El calor asfixiante se vuelve a instalar en Europa occidental
Con los termómetros superando ampliamente los 40 ºC en España y Portugal, Europa occidental enfrentaba este martes una segunda ola de calor excepcional en apenas un mes, con un impacto muy preocupante en los suelos y los glaciares alpinos.
Una nueva ola de calor extremo se abate sobre la península ibérica y Francia
A menos de un mes de la última ola de calor, los termómetros volvieron a registrar niveles excepcionales este lunes en la península ibérica, con temperaturas superiores a los 40 ºC, y en el sur de Francia.
Más de 400 varados en frontera argentino-chilena por fuerte nevada
Más de 400 personas, entre turistas, camioneros y otros viajeros, siguen varados con temperaturas de 10 grados centígrados bajo cero por un temporal de nieve a los dos lados de la frontera andina entre Argentina y Chile, según fuentes municipales.
Iran cierra escuelas y administraciones por una tormenta de arena
Las autoridades iraníes anunciaron el lunes el cierre de los centros administrativos y las escuelas de las provincias de Teherán y Alborz ante el aumento de la contaminación provocado por una tormenta de arena.
El hastío de los iraquíes frente a las repetidas tormentas de arena
Pese a las tormentas de arena y polvo, Milad Mitti no puede permitirse perder un día de trabajo. Como la inmensa mayoría de los iraquíes, este repartidor de comida no oculta su hastío ante un fenómeno que ha adquirido proporciones sin precedentes en los últimos meses.
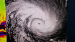
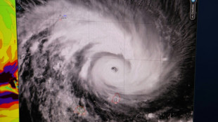
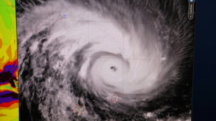
Tormenta Bonnie deja tres muertos y daños en Nicaragua y El Salvador
La tormenta tropical Bonnie que se desplaza por el Pacífico de Centroamérica y México, dejaba al menos tres muertos en Nicaragua y El Salvador, cientos de desplazados por el desbordamiento de ríos, viviendas inundadas y caída de árboles, según un balance preliminar este domingo en los países afectados.
Tormenta Bonnie deja un muerto y daños al pasar cerca de El Salvador
La tormenta tropical Bonnie que se desplaza por el Pacífico de Centroamérica, cobró el sábado la vida de una persona en El Salvador donde además derribó árboles, anegó calles, algunos hospitales y viviendas, mientras las autoridades realizaban evacuaciones y rescates.
Tormenta Bonnie sale al Pacífico tras cruzar Nicaragua y Costa Rica
La tormenta tropical Bonnie, que impactó el sur de Nicaragua con fuertes vientos y lluvias salio, este sábado de territorio continental hacia el Pacífico sin que se reporten grandes daños, aunque podría fortalecerse durante su trayectoria hacia las costas de México.
Tormenta tropical Bonnie apunta hacia Nicaragua y Costa Rica
La tormenta tropical Bonnie se formó este viernes al suroeste del mar Caribe con rumbo hacia las costas de Nicaragua y Costa Rica, que colocaban a su población vulnerable a buen recaudo ante la previsión de lluvias y vientos hasta el sábado.
Al menos 26 muertos adicionales por las intensas lluvias en India
Al menos 26 decesos adicionales se registraron en India debido a las inundaciones provocadas por el monzón o tras ser alcanzados por rayos, anunciaron las autoridades este lunes.
La ola de calor precoz se amplifica en el sur de Europa
La ola de calor precoz que golpea el sur de Europa desde hace varios días se extendió y amplificó este sábado a toda Francia, donde se esperan récords de temperaturas, mientras en España los bomberos siguen luchando contra varios incendios y el norte de Italia sufre una dura sequía.
Francia, España e Italia sufren olas prematuras de calor con incendios y sequías
Francia sufre una ola de calor récord antes del verano, con picos de alrededor de 40 grados, al igual que en la vecina España, que ya lleva varios días de sofocantes temperaturas que también agravan la sequía en el norte de Italia.
Francia lidia con una ola de calor temprana y España con incendios forestales
Las autoridades francesas alertaron este jueves que una ola de calor récord antes del verano progresaba hacia el norte desde España, donde los bomberos luchan contra varios incendios forestales, en el sexto día de sofocantes temperaturas.
La prematura ola de calor golpea a casi toda España
Una temprana ola de calor, la segunda en menos de un mes, continuaba este miércoles ahogando a España, con temperaturas por encima de los 40 ºC en varias zonas del país, un fenómeno meteorológico que se desplaza a Francia.
Los bomberos controlan un enorme incendio en el mayor pinar del Líbano
Los bomberos controlaron este miércoles un enorme incendio, que, según las autoridades, podría haber sido provocado, que se declaró la víspera en el mayor pinar de Líbano cuando el país se prepara para otro verano de en alerta.
Las autoridades reducen a 9 los fallecidos por el paso de Agatha por el sur de México
El gobierno del estado de Oaxaca (sur) ajustó este jueves a nueve muertos y seis desaparecidos el saldo del paso del huracán Agatha por la costa sur del Pacífico mexicano, donde deja un panorama de destrucción.
Huracán Agatha deja 11 muertos, desaparecidos y destrucción en el sur de México
Al menos once muertos, una veintena de desaparecidos y un panorama de destrucción dejaba este miércoles el paso del huracán Agatha en la costa del Pacífico mexicano, donde se mantiene la alerta ante intensas lluvias.